• 最近見た物件
  • 検討リスト

明石市・西明石の不動産売却は神明住建

078-925-6200

営業時間:AM9:00~PM6:00 定休日:水曜日 第一木曜日

明石市の不動産をご提案

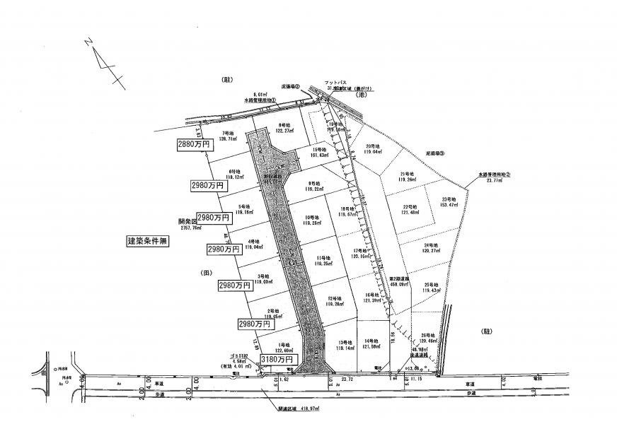
【売土地】大久保駅 大久保町八木全15区画1号地 谷八木小学校区

【成約済】 【売土地】大久保駅 大久保町八木全15区画1号地 谷八木小学校区 - 過去掲載物件

JR大久保駅徒歩14分、全15区画分譲地。近くに大型ショッピングモールがあり、生活便利!

価格
**** 万円
所在地 / 交通
兵庫県明石市大久保町八木
JR神戸線(神戸~姫路)「大久保」駅  徒歩14分
面積 / 坪数
122.69㎡
37.11坪
  • 検討リストに追加
  • お問い合わせ
  • 1号地

    画像をクリックして拡大表示

    ※写真や図と実際の現状とが異なる場合は現状を優先させて頂きます。

物件概要

管理番号 T02511 情報更新日 2023年08月04日
種別 売地 投資・実需 実需
所在地 兵庫県明石市大久保町八木
交通
  • JR神戸線(神戸~姫路)「大久保」駅  徒歩14分
小学校区 谷八木小学校区 中学校区 大久保中学校区
土地面積 122.69㎡ 土地面積 (坪数) 37.11坪
面積計測方法 公簿 私道負担面積
セットバック 再建築
価格 ****万円 坪単価
土地権利 所有権 国土法届出要否 不要
都市計画 市街化区域 用途地域 工業
建ぺい率 60% 容積率 200%
販売区画数 15 現況
地勢 平坦 地目 宅地
水道 排水
ガス 建築条件
引渡し 期日指定 引渡時期 下旬以降
建築番号 取引態様 媒介
接道状況
公道 東 6.0m
設備条件
  • 日当たり良好
  • 駅近く
  • 買い物便利
その他法令上の制限
備考
お問い合わせ 明石市で物件探しをお考えなら、住宅情報が満載の不動産・住宅情報サイト神明住建にお任せ下さい。 (稲美町・播磨町・神戸市西区)中古一戸建て、中古マンションから新築一戸建てまで、お客様目線での不動産探しを心がけております。 明石でのお家探し、不動産の買取・売却査定・売却相談、中古住宅・一軒家・明石の不動産屋・土地・建築条件無し土地・一戸建て情報が満載の中から検索して下さい。
● まずはお気軽にお電話下さい。 株式会社神明住建はホームページにて毎日物件更新中!! 毎週末オープンハウス開催中!是非お気軽にご来場ください。
定休日:毎週水曜日 / 第1木曜日 ■ 9:00~19:00まで営業!!
お問い合わせはこちら
取扱会社
  • 株式会社神明住建
  • 兵庫県明石市小久保5丁目2-11 岸ビル1階
  • TEL : 0120-939-180
  • 兵庫県知事 (5) 第401165号
    建設業許可
    兵庫県知事許可(般-27)第406157号
    明石商工会議所会員
    兵庫県宅地建物取引業協会会員
    国土交通省大臣指定
    (株)日本住宅保障検査機構登録ビルダー
    あいおいニッセイ同和損害保険株式会社代理店
    ダイキン工業株式会社代理店
    タカラスタンダード株式会社代理店
  • 兵庫県宅建協会

※地図上に表示される物件の位置は付近住所に所在することを表すものであり、実際の物件所在地とは異なる場合がございます。

  • 不動産売却・買取
  • 会員バナー
  • 掲載物件数
    ロード中
    公開物件数
    ロード中
    本日の更新件数
    ロード中
    会員物件数
    ロード中
  • 売却
  • 空き家どっとこむ
  • R-style
  • 周辺施設検索
  • スタッフ紹介
  • アクセスマップ
  • お問い合わせ
  • 更新情報

    2025-10-24

    新しく特選物件サイト公開しました!今までの不動産物件サイトとは一味違う、一つ一つの物件をじっくりとご紹介しています!

    2021-04-16

    おすすめ物件更新!!

    高機能・高性能・高断熱住宅です◎

    お問い合わせはお早めに神明住建まで!

    2020-12-25

    年末年始休みのお知らせ

    12月26日(土)から1月6日(水)

    お問い合せはメールまたは1月7日の営業日にご連絡お願い致します。

    更新情報一覧

  • 会社概要

    会社概要
    株式会社神明住建
    • 〒673-0005
    • 兵庫県明石市小久保5丁目2-11
      岸ビル1階
    • 0120-939-180
    • TEL / 078-925-6200
    • FAX / 078-925-6202
    • MAIL / info@shinmei.net
    • 兵庫県知事 (5) 第401165号
      建設業許可
      兵庫県知事許可(般-27)第406157号
      兵庫県宅地建物取引業協会会員
      国土交通省大臣指定
      (株)日本住宅保障検査機構登録ビルダー
      あいおいニッセイ同和損害保険株式会社
      ダイキン工業株式会社代理店
      タカラスタンダード株式会社代理店
  • SNS各種リンク

トップへ戻る